- 2025.12.19
- ブログ
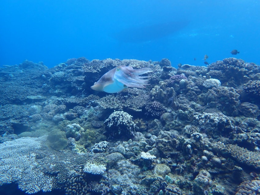
コブシメ🦑【沖縄マリンスポーツ専門店★水納島マーメイド】

ハイサーイ😛![]()
MERMAIDブログをご覧いただきありがとうございます![]()
今日は、途中雨
が降ったりもありましたが、水納島シュノーケリング、パラセーリングを無事開催することができました![]()
ご参加いただきありがとうございました![]()
今日、シュノーケリングの際に体長60~70㎝程のコブシメ(イカ)を発見しました
沖縄や奄美大島付近でよく見られます![]()
さて私は1ヶ月前から、マーメイドで働いている沖縄生まれ沖縄育ちの マル です。よろしくお願いします🙇♂️
県外の人からすると気温が20℃前後くらいだと余裕で過ごせると思うんですが、沖縄生まれ沖縄育ちの僕からすると寒くて、県外からくるお客様を見てると半袖半ズボンの方を見かけるので、毎回ビックリさせられます😂
早く皆さんをマリンガイドできるよう頑張ります💪
僕は那覇育ちで、よく国際通りの少し中道の方にある平和通りという飲み屋街によく🍺飲みに行ってました。
地元の人が多くてとてもお勧めです。那覇市で飲みに迷ったら是非一度行ってみてください!
当ショップでは1月3日~3月末までホエールウォッチング🐳を開催しています。
高確率でクジラに遭遇できるので、冬に沖縄旅行を検討されている方はぜひ計画してみてください![]()
それでは本日のお写真UPしていきましょう![]()
![]()
下記のURLをクリックしてダウンロードしてくださいね👇👇👇
◆◆◆◆◆◆◆◆◆◆◆◆◆◆◆◆
冬季シュノーケリング/Winter Snorkeling🌺
写真のダウンロードはこちらから![]()
↓↓
Download from the below links according to your allocated sessions![]()
↓↓
【URL:http://30d.jp/mermaid30/4545】
本島北部(モトブコウ発)パラセーリング/Northern part of the main island(From Motobu Port) Parasailing🌺
写真のダウンロードはこちらから![]()
↓↓
Download from the below links according to your allocated session![]()
↓
【URL:http://30d.jp/mermaid30/4546】
◆◆◆◆◆◆◆◆◆◆◆◆◆◆◆◆
MERMAIDは海遊びする皆さんのバディです!皆様のお越しを心よりお待ちしております![]()
12月19日のブログでした![]()
お気軽にお問い合わせ下さい

事務所携帯(8:00~21:00)
①090-5928-9569 ②090-5923-1515
北部パラセーリング現場携帯(8:00~17:00)
080-1731-3029
マーメイド公式SNS絶賛更新中![]()
![]()
チェックして下さいね👀
°˖✧✧˖°°˖✧✧˖°今日の楽しかった思い出を口コミで投稿をお願いします°˖✧✧˖°°˖✧✧˖°
✨ヾ(o´∀`o)ノ✨
じゃらんの口コミ投稿の方はこちら✨ヾ(o´∀`o)ノ✨
沖縄、水納島、パラセーリング、シュノーケリング、ホエールウォッチングといえば![]()
⭐︎M E R M A I D⭐︎




